Arthritis is the number one cause of lameness in dogs, and as such, it is diagnosed so often that the word has become a part of everyday language, requiring no explanation for what it actually means for you pet. With that familiarity, there is sometimes a loss of a true understanding of what is happening in the joint to result in the symptoms that you’re seeing and, more importantly, what can be done to help them. To address this, I wanted to write about the disease a little more in depth, and give you a deeper understanding of the mechanics involved.
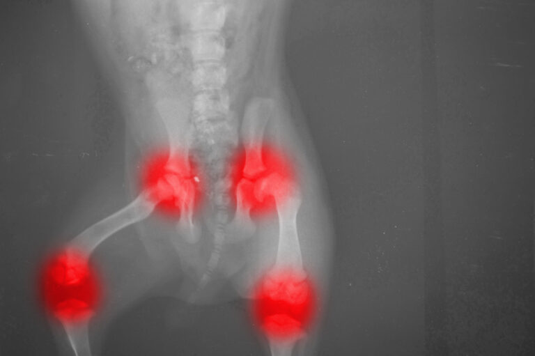
Your pet’s joints are formed by the ends of two bones coming together, held in place by ligaments that allow for whatever movement that particular joint needs. Because bones are hard and unyielding, they need a cushion between them to absorb impact and allow for a smoother movement than bones alone would be able to produce. This cushioning is provided by articular cartilage (articular means relating to a joint), which covers the bones and keeps them from rubbing together. When a pet has arthritis, that cartilage is breaking down, exposing highly sensitive areas that are being irritated every time the joint moves. There can be other effects, like the formation of extra bone called osteophytes, but the cartilage damage is the primary source of pain.
This damage can be caused by a few different things, but the two most common are trauma and obesity. The cartilage is designed to hold up against the normal, every day forces that the joint comes into contact with. When those forces exceed that amount, as they do in an injury, the cartilage can become damaged. Along with injury, the force of carrying too much weight can cause cartilage to break down, even if there are no other injurious forces on the joint. Over time, the pressure of the excess pounds can cause the cartilage to wear away, exposing the painful subchondral layer. Another cause is a skeletal malformity, such as hip and elbow dysplasia, causing the joint to move abnormally and put excess pressure in one area or another.
When this happens, the most common thing owners will see is stiffness, especially after the pet has been lying down for a while, and/or lameness in one or more limbs. There will sometimes be a crunching or grinding sound (called crepitus) when the joint moves, which is typically caused by gas invading the damaged tissues. These problems typically spread to both sides of the body, because when the pet shifts weight off of the damaged limb, they are placing excess pressure on the healthy side, leading to arthritis developing there as well. These symptoms can be relatively mild, but in advanced cases, they can be debilitating, resulting in so drastic a decrease on quality of life that it results in euthanasia. It is heartbreaking—for medical personnel, but more especially for owners—to have to end the life of an otherwise healthy pet because of uncontrollable pain.
Because of this, it is vital to address arthritis when the symptoms first appear. The standard practice is to control the pain with anti-inflammatory drugs, which can be a great way of making the pet comfortable while lifestyle changes are made. The most important thing to accomplish is to get excess weight off the animal. Decreasing the amount of force being placed on the joint can slow or stop the breakdown of cartilage and decrease the amount of pain they are experiencing. Another very important step is to get them to begin to use the affected limb. That sounds counter-intuitive to a lot of people, but they need to strengthen the muscles around the joint to help support it and keep it as healthy as it can be. Movement can also stimulate certain mechanisms that the body has for controlling pain. Depending on the severity of your pet’s condition, this may be something that needs to be done slowly, over long periods of time, so I always recommend discussing this with your vet. Getting a referral to see a rehabilitation specialist is also a good plan, because they can create a targeted protocol to help your pet. Keeping joints healthy is just as important to their overall well being as protecting their liver or kidneys. Having an early, proactive response to this disorder can go a long way towards keeping your pet with you well into the future.
